如何看待新的台风“潭美”?
的有关信息介绍如下:第24号台风潭美从西太平洋一路狂奔,深水海的温度正在为它孕育着巨大的热量,产生更多的水汽,风雨云将会继续扩大,陆地的温度越高天气更闷热,就更有利于加大发展的空间。看来进入台湾海峡后,假如没有登陆台湾只是擦边球,那么这个台风中心的风力很快达到十八级的超强台风,相当于每秒70米上的风速,没有冷气团的打压之下,那么这个台风就会一路顺风向日本登陆了


这是一个可怕的月份,人们不得不被迫迎来一场又一场怪物风暴。最新的“潭美(Trami)”台风将在本周袭击日本,它将带来可能极具破坏力的狂风暴雨。欧洲宇航局宇航员Alexander Gerst正在国际空间站观察着它,他在社交媒体平台上贴出了一组令人瞠目结舌的风暴照片。





Gerst在推文中写道:“就好像有人拔掉了这颗行星的巨大插头。凝视着另一场猛烈风暴的眼睛。5级超级台风潭美势不可挡、它正在向日本和中国台湾移动。下面的人要注意安全!”
在Gerst分享的照片中,潭美的台风眼看起来异常令人震惊,其中包括了一些风暴中心的特写镜头。
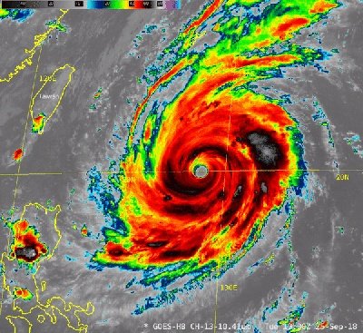
另外,美国国家海洋和大气管理局(NOAA)在社交媒体上分享了一张潭美台风的红外卫星图,它展示了潭美正在穿越太平洋的画面。


NOAA指出,本周早些时候,潭美达到了“超级台风”级别,持续风速达到了150mph(241km/h)。虽然这场风暴在行进的过程中稍微有些减弱,但它对沿途的人们仍构成了巨大的威胁。
可以确定的是这次新的台风“谭美”已经生成了,而且的威力并不会比之前的山竹小,甚至还有可能超过;不过好消息是这次谭美对于广东来说影响很小,这两天时间对于我们近海也将无影响。

不过从最新的气象信息来看,这个台风还一直处于移动中,具体的登录地点还未确定,预计谭美将继续以每小时10-15公里的速度向西北方向移动,强度还有所加强;另外因为谭美的体积大,强度客观,后期的路径极其复杂,很有可能将会在台湾或者日本登陆,所以国庆期间想要去日本旅游的朋友们要谨慎了。

想想之前台风飞燕在日本的影响可谓是让很多在那边旅游的人都觉得后怕,那个时候更是有几千名国内游客因为台风被滞留在机场。



